Create Account Login
Www.facebook.com/jybrealty/ IconWww.youtube.com/channel/UCeGRxxb3DIJv8GhlPg1ZsoA IconWww.instagram.com/jybrealty/ IconWww.jybrealty.com/blog/ Icon

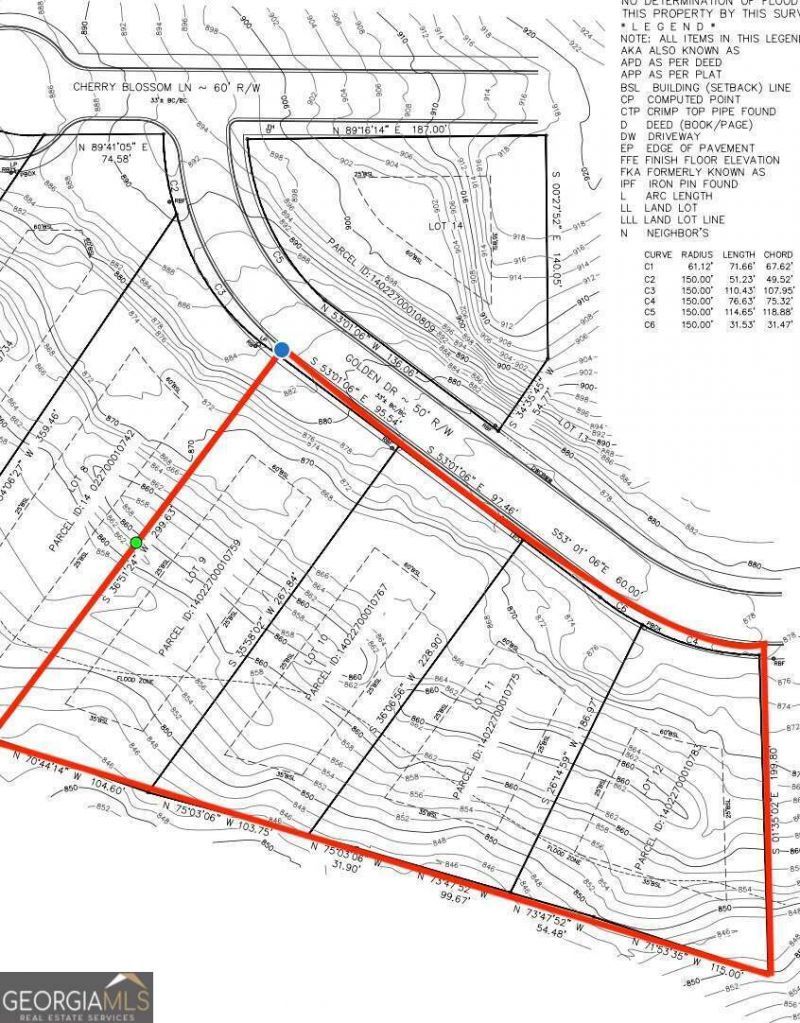
0 Golden Drive, Atlanta, GA 30344

$99,000
  • 0 Golden Drive, Atlanta, GA 30344 Main Photo

1 Total Photos [Click to View All]

Back On Market
LOT SIZE 2.230 acres MLS#10679560
STATUSBack On Market PROPERTY TYPELand - Residential SUBDIVISIONGolden Acres

Property Description

Discover four spacious, fully developed lots situated near Tyler Perry Studios, Camp Creek Shopping Area, and Greenbriar Mall. These prime lots feature paved roads, curbs, gutters, and ready-to-use utilities. Enjoy the convenience of proximity to major freeways, shopping centers, dining options, and recreational facilities. Additionally, benefit from being close to the proposed East Point Path walking trail, perfect for outdoor enthusiasts. Nearby, new construction homes are selling for $550K and up, highlighting the area's strong market potential.

0 Golden Drive | MLS# 10679560

This land located at 0 Golden Drive, Atlanta, GA 30344 is currently listed for sale with an asking price of $99,000. The property has approximately 2.23 Acres. Search Atlanta real estate on www.jybrealty.com today.

Property Features

Property Type: Land - Residential
Lot Size: 2.23 Acres
Taxes: $5,000

Feature Descriptions

Amenities: Near Public Transport, Walk To Schools, Near Shopping
Days on Site: 36
RoadFrontage: None
Sewer: Other, Public Sewer
Structures: None
Topography: Other, Sloped
Utilities: Cable Available, Electricity Available, Natural Gas Available, Phone Available, Sewer Available, Underground Utilities, Water Available
Vegetation: Grassed, Partially Wooded
Water: Other, Public

Local Schools

High School: Tri Cities
Middle School: Bunche
Elementary School: Continental Colony

Listed By / Shown By

Listed By

Agency Name: Keller Williams Realty Atl. Partners
Agency Phone: 678-775-2600

Shown By

Agency Title: Josey Young & Brady Realty, LLC
Agency Phone: 770-683-1800

IDX logo

Estimate Your Payment

Estimated Payment

$ 665.87 per month $220.33 Principal & Interest $416.67 Property Tax $28.88 Homeowner's Insurance

Change Payment Information

%
years/fixed
yearly
yearly (est.)
(Payments are an estimate and may vary by lender)

Login to My Homefinder

Pixel